日照市投资机会清单(2025年第一批)
按照“项目提升年”部署要求,为方便各类市场主体及时了解我市投资机会情况,市发展改革委持续组织对全市重点项目、存量资产等优质资源进行梳理,并形成投资机会清单,多渠道向全社会公布。
在2024年投资机会清单基础上,梳理形成2025年第一批投资机会清单,包括30个投资机会项目。现面向社会公布,诚邀各方对接联系、洽谈合作。
2025年第一批投资机会清单
以往批次投资机会清单
2025年5月27日
(1)

一、项目名称:日照高新区航空科技产业园基础设施配套项目
二、建设地点:日照高新技术产业开发区山海四路以北、屯岭村以西
三、项目业主:日照高新发展集团
四、项目简介(规划方向):项目总占地面积240亩,主要建设15万平方米高标准厂房、园区道路管网约8公里、双回路电源约5.3公里、雨污分流排水设施约12.6公里、工业蒸汽管线约3.8公里、配套储能电站及相关设施。
五、建设条件及进展:目前已建成一期4.5万平方米标准化厂房主体工程。
六、需求内容:一是招引投资合作方;二是商业出租,招引航空产业企业入驻。
七、联系人及电话:范丰涛13396338606
(2)

一、项目名称:新东港海洋牧场项目
二、建设地点:日照市东港区阜鑫渔港东侧20公里海域
三、项目业主:日照新东港海洋发展渔业有限公司
四、项目简介(规划方向):项目用海面积约337公顷,分两期建设,主要建设筏架、网箱、人工鱼礁、海上多功能平台、休闲渔业等配套设施。
项目将与北繁基地项目联动规划、生产运营,构建现代化陆基工厂化养殖及海洋牧场全产业链,积极打造以海洋渔业文化为主题,集资源保护、养殖、研学旅游于一体的大规模综合型海洋牧场。项目收益来源为优质海产品销售收入、研学观光旅游收入。
五、建设条件及进展:已完成立项及项目规划设计方案。
六、需求内容:一是寻求资金实力雄厚的海洋渔业领域龙头企业,进行投资建设合作、股权合作、运营合作。
二是寻求业内科研机构、高校及技术企业进行技术合作。
七、联系人及电话:毕一鸣13561908857
(3)

一、项目名称:“新海一号”海洋渔业综合体平台项目
二、建设地点:日照市岚山区平山岛(平岛)附近
三、项目业主:日照市岚山区七彩智慧休闲渔业有限公司
四、项目简介(规划方向):项目拟在日照市岚山区平山岛(平岛)附近建造“新海一号”海洋渔业综合体平台,该平台为桁架渔业智能养殖网箱平台,主要用于海水鱼类的养殖,共计包围水体约3万立方米。
平台作为整个海洋牧场的支撑基地,能够满足工作人员居住、渔场监控、物资供给、休闲渔业扩展等功能。养殖平台配置压载系统,可实现平台上浮或下潜,并据此完成收鱼作业、网衣清洗等工作。
五、建设条件及进展:已完成设计招标,正在推进设计进度。
六、需求内容:招引意向企业共同投资建设该渔业养殖平台,通过开展渔业养殖、休闲海钓、观光游览等服务,实现渔旅产业融合发展。
七、联系人及电话:赵玉超18866230029
(4)
一、项目名称:高新区颐养服务中心项目
二、建设地点:日照高新技术产业开发区河山镇
三、项目业主:日照高新发展集团
四、项目简介(规划方向):项目总建筑面积10万平方米,主要建设集社会养老、日间照料、康复、托养功能为一体的综合养老服务中心,内含老年康复、社区居家养老、颐养、养老院、老年友好住区等养老服务设施。同时,配套建设康养理疗中心、日间照料中心、长者食堂、室外健身场地、停车场等设施,搭建智慧养老服务平台。建成后,将极大地提升当地养老服务水平,改善老年人的生活质量。
五、建设条件及进展:项目立项已完成。
六、需求内容:一是招引投资合作方;二是运维合作,招引专业养老医疗管理单位。
七、联系人及电话:侯建志15898995017
(5)

一、项目名称:日照山海天旅游度假区大泉沟国际海鲜美食街区项目
二、建设地点:日照山海天旅游度假区大泉沟村
三、项目业主:日照山海天旅游度假区管理委员会
四、项目简介(规划方向):项目占地77.75亩,规划建设海鲜市场、美食街、温泉度假酒店于一体的商业综合体。
项目位于山海天旅游度假区山海路、北海路交会处,区位优势明显,项目建成后将成为滨海旅游路线上的新亮点,打造形成较完善的旅游产业链。
五、建设条件及进展:项目土地证、建设用地规划许可证已办理完成,目前正在进行主体建设。
六、需求内容:主要招引合作设计,投资运营大泉沟国际海鲜美食街区旅游、休闲、度假、娱乐等产业。
七、联系人及电话:孙振坤0633-8316708
(6)

一、项目名称:蓝莓产业提升项目
二、建设地点:日照市东港区陈疃镇现代农业科技创新中心
三、项目业主:日照市东港区陈疃镇人民政府
四、项目简介(规划方向):项目建筑面积1.7万平方米,建设蓝莓饮料产业园区,涉及蓝莓汁、蓝莓汽水、蓝莓酒等多种饮品,建成后将进一步深化陈疃蓝莓湾首批省级示范片区建设成效。
五、建设条件及进展:项目用地已提交办理连片开发方案,预计今年下半年完成批复。
六、需求内容:通过出租或者转让方式,招引水果深加工企业。
七、联系人及电话:田光利13606333063
(7)

一、项目名称:日照市东港区涛雒镇海洋生态保护与渔业融合发展EOD项目
二、建设地点:日照市东港区涛雒镇北部片区
三、项目业主:日照市东港区海洋产业发展有限公司
四、项目简介(规划方向):项目采用“生态治理+产业开发”EOD开发模式。生态治理部分对长度约21公里的河道及海岸线进行生态环境修复整治,建设6个养殖尾水集中处理试点区域。产业开发部分建设日供水量约50万立方米的生态养殖供水项目、总建筑面积约46万平方米的海水养殖绿色工厂建设项目、建筑面积约10万平方米的现代渔业综合产业园区项目,主要分为水产品加工区、冷链物流区、养殖饲料加工区。
项目收益来源为养殖海水供水服务收入、海产优质苗种及成品销售收入、加工海产品销售收入、养殖饲料收入及冷库、车间出租收入。
五、建设条件及进展:项目已于4月16日完成EPC工程招标,正在推进项目融资及手续办理工作,已启动生态养殖供水项目建设。
六、需求内容:一是寻求资金实力雄厚、海洋渔业领域龙头企业进行运营合作、股权合作;二是寻求业内科研机构、高校及技术企业进行技术合作。
七、联系人及电话:毕一鸣13561908857
(8)

一、项目名称:东方太阳谷生态旅游项目
二、建设地点:日照市五莲县户部乡
三、项目业主:山东太阳城生物科技有限公司
四、项目简介(规划方向):项目占地3200亩,依托现有产业基础和自然生态资源,充分挖掘葡萄与葡萄酒文化,在太阳城庄园核心区的基础上,规划建设会议展览中心、写生创意村、婚庆摄影基地、教学研基地、自行车和越野车赛道及相关游乐设施,推动葡萄酒与文旅产业融合发展。
五、建设条件及进展:已部分投用,正在推进二期项目建设。
六、需求内容:招引投资合作方。
七、联系人及电话:张守军13963346613
(9)

一、项目名称:日照市社会福利中心养老院项目
二、建设地点:日照市临沂北路268号日照市社会福利中心院内
三、项目业主:日照市民政局
四、项目简介(规划方向):项目建筑面积20951平方米,新建护理型床位500张。养老院由1座地上9层、地下1层和1座地上5层、地下1层的建筑组成,两栋建筑之间通过2层的裙楼进行连接。设有护理院、失能/半失能专区、认知障碍症专区、自理型专区、餐厅厨房功能区、科研培训娱乐区、地下车库及附属用房区主要功能区域。
项目是日照市政府主导,进一步完善养老服务体系,提升养老服务质量、满足日益增长的养老服务需求而实施的重点工程。项目建成后,能进一步强化城乡各类困难老年人托底保障功能,满足多层次、多样化的养老服务需求。
五、建设条件及进展:项目已开工,预计2025年11月建成。
六、需求内容:招引高端养老项目运营方,通过合作运营或完全委托运营管理方式,整合养老服务资源。
七、联系人及电话:孙厚军0633-8816962
(10)

一、项目名称:日照岚山疏港铁路项目
二、建设地点:日照市东港区、岚山区
三、项目业主:日照岚山疏港铁路有限公司
四、项目简介(规划方向):项目是日照市自主规划建设的第一条国家级重点铁路,线路全长36.67公里,北端经巨峰站与瓦日铁路、新菏兖日铁路接轨,到达岚山港站,与坪岚铁路相联,联通山钢集团日照公司、日钢集团、岚桥港和日照港岚山港区,全线电气化设计标准,设计时速80公里,设计年运力3500万吨。
项目实现了日照境内瓦日、新荷兖日两条主干线铁路服务于岚山港区的“双线循环”,形成了以港口为枢纽,服务于国内、国际乃至“一带一路”建设的新格局。
五、建设条件及进展:项目已于2023年2月18日建成投入运营,2024年完成货运量450万吨,同比增长40.6%,全年营收突破1亿元。目前是第三方单位代为运营维护,合同今年到期。
六、需求内容:意向合作单位为行业内经验丰富的大型国有企业,合作方向为项目合作运维,主要包括:
一、铁路运输组织管理。接发列车、取送调车、货运组织、运输统计上报、施工计划、施工组织及各种信息采集统计等工作。
二、铁路基础设施管理。疏港铁路各站场设备,工务、电务、供电及相关安全设施设备的使用、维护管理等工作。
三、铁路运输安全管理。铁路用地、铁路设施设备的安全保障、列车运营安全、铁路线路安保区管理、营业线施工安全管理及外部环境安全隐患整治等。
七、联系人及电话:潘强17763370317
(11)
一、项目名称:鲁南粮食仓储物流枢纽项目
二、建设地点:日照市岚山区518国道与天泽南路交会处
三、项目业主:日照兴岚储备粮油有限公司
四、项目简介(规划方向):项目规划总占地面积约102亩,分两期实施:项目一期用地面积77亩,计划建设6栋平房仓,1栋机械库,1栋一站式服务中心,1栋综合办公楼,同时配备先进的通风、熏蒸、测温等仓储设备;项目二期用地面积25亩,建设1栋年产15万吨面粉加工车间,2栋成品粮存放仓库。项目建成后可储存原粮10.2万吨,年加工面粉15万吨。
五、建设条件及进展:项目已完成立项,已提交项目规划选址。
六、需求内容:招引中储粮,鲁粮集团等相关粮食仓储类企业开展粮食代储业务。
七、联系人及电话:张晓13370630287
(12)

一、项目名称:岚山木结构博览园项目
二、建设地点:日照市岚山区多岛海西岛路以东、东岛路以西、多岛海大道以北
三、项目业主:日照市岚山区海韵木艺有限公司
四、项目简介(规划方向):项目总建筑面积12459平方米,主要建设中心场馆1栋(3层)、独栋木屋5栋(1-4 层),布设各类木结构文化展及木结构景观设施、亲水平台、休闲空间等旅游休闲设施,完善公共停车区等配套基础设施。
五、建设条件及进展:1.已完成中心场馆西侧土地手续,用地规划许可、东侧土地不动产权转移预告登记、用地规划许可、主场馆基础施工图初审。 2.主场馆东侧基坑24-36轴交A-D轴基坑承台垫层浇筑完成,承台第一阶段750mm模板安装完成70%,钢结构预埋柱脚预埋件进场安装;西侧道路路基换填完成,混凝土硬化完成,东侧道路路基换填完成90%;主场馆西侧基坑土方开挖完成,基坑支护喷锚完成50%。
六、需求内容:招引运维合作方,展馆进行商业出租。
七、联系人及电话:刘中照13516334081
(13)

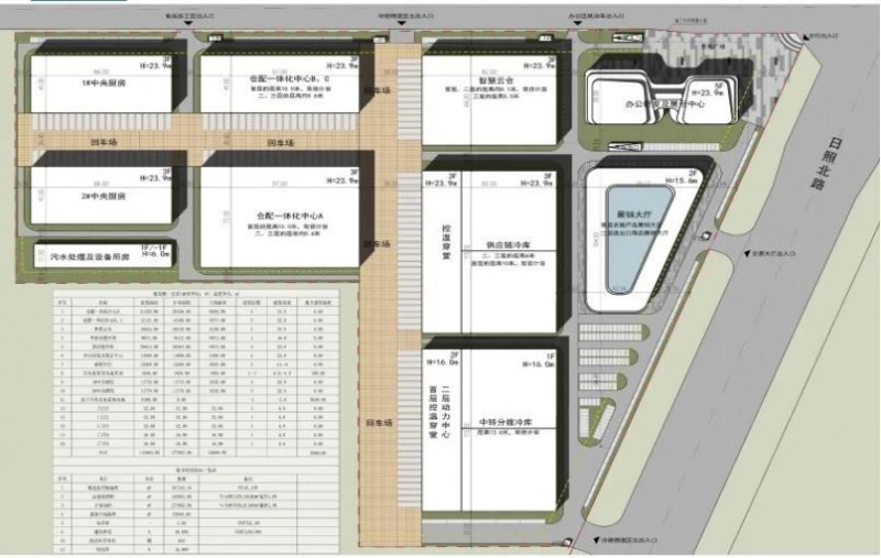
一、项目名称:日照高新冷链及仓储物流项目
二、建设地点:日照高新技术产业开发区日照北路以西、范家官庄河以北
三、项目业主:日照高新发展集团
四、项目简介(规划方向):项目主要建设农产品加工、仓配一体化中心、中央厨房、冷链仓储设施、智能流水分拨中心、综合服务中心、地下车库及相关配套设施。
项目建成后,将进一步促进日照市农资、农产品、生鲜冷链等的精细加工、干线分拨与城市配送业务等提质增效。
五、建设条件及进展:项目土地、施工许可等前期手续已完成。
六、需求内容:一是运维合作,招引合作运营管理单位;二是招引投资合作方;三是商业出租,招引冷链物流、食品加工等企业入驻。
七、联系人及电话:胡勇19963309055
(14)

一、项目名称:2025年全国田径冠军赛
二、建设地点:日照市奎山体育中心
三、项目业主:日照市体育局
四、项目简介(规划方向):赛事拟于9月26日—28日举办,中国田径协会主办,山东省体育局支持,山东省田径运动管理中心、山东省田径运动协会、日照市体育局、日照经济技术开发区管委承办。
五、建设条件及进展:正在筹备前期工作。
六、需求内容:招募赛事冠名、赞助商。
七、联系人及电话:王保涛0633-8802916
(15)

一、项目名称:2025年日照马拉松
二、建设地点:日照市东港区
三、项目业主:日照市体育局
四、项目简介(规划方向):赛事拟于10月份举办,由日照市人民政府主办,日照市体育局承办。
五、建设条件及进展:正在筹备前期工作。
六、需求内容:招募赛事冠名、赞助商。
七、联系人及电话:王保涛0633-8802916
(16)

一、项目名称:日照市青少年和妇女儿童活动中心项目
二、建设地点:日照市东港区胶州路以北、碧霞湖以南、北京路以西、枣庄路以东
三、项目业主:日照市青少年事业发展中心、日照市妇女儿童活动中心
四、项目简介(规划方向):项目总建筑面积8.6万平方米,是专门面向青少年和妇女儿童打造的城市公共教育与服务设施,聚焦青少年成长和妇女儿童发展需求,设立青少年素质教育、数智竞技、运动健康、研学实践、青少年服务、托育综合服务、儿童创想体验、女性成长、演艺活动等“十大中心”。重点布局儿童学前教育、健康管理、亲子互动、娱乐体验、餐饮休闲、文艺展演、校外研学等业态,旨在为青少年与妇女儿童提供全方位、多元化、综合性社会服务。
五、建设条件及进展:项目已竣工并投入使用。
六、需求内容:聚焦青少年成长和妇女儿童发展需求,招引全国知名项目、品牌机构、协会组织等入驻。
七、联系人及电话:陈祥红18663369527
(17)

一、项目名称:五莲智慧农贸城项目
二、建设地点:日照市五莲县山东路以东、黄海东路以北
三、项目业主:日照市西商冷链产业园建设运营有限公司
四、项目简介(规划方向):项目建筑面积17万平米,一期建设批发交易中心、农产品交易中心。二期建设冷链仓储物流中心、城市综合配送中心等。项目搭建智慧物流园区综合运营管理中心、智慧停车场系统、农业订单与展销展示平台,打造集物流、信息流、配送、仓储等多功能复合型大型现代化农产品物流交易平台。建成后预计年交易农产品38万吨,交易额40亿元、税收5000万元。
五、建设条件及进展:项目正在进行主体建设,目前A1#楼一层结构封顶,二层主体正在建设,A2#楼已全部结构封顶并取得预售许可,目前钢结构已进场施工,A区预计2025年10月份建成并试运营。C9综合大楼现已完成一层结构封顶,二层主体正在建设,于10月份全部建成,并投入使用,营销中心对外开放。B1#B2#C1#正在进行基础建设。
六、需求内容:招引产业链链上、链下企业入驻。
七、联系人及电话:张磊18806337195
(18)
一、项目名称:日照市岚山区绿色新材产业园项目
二、建设地点:日照市岚山区222省道以西、钢城大道以北、疏港大道以南
三、项目业主:日照市海州湾新材料科技有限公司
四、项目简介(规划方向):项目总建筑面积约76.47万平方米,主要建设钢结构标准化厂房67栋、办公用房及员工宿舍8栋,同时配套建设园区水、电、雨污水管道、景观绿化、停车场、污水收集处理及各类附属配套设施等。
五、建设条件及进展:项目已完成初步规划方案、可研报告编制及立项等工作;项目选址已通过区城建会;土地已列入岚山区2025年土地征收成片开发方案;河道改造工程方案已提交审批。
六、需求内容:招引产业链链上、链下企业合作。
七、联系人及电话:王成刚18763351221
(19)

一、项目名称:中楼镇橡塑产业集聚提升项目
二、建设地点:日照市岚山区中楼镇
三、项目业主:日照市岚山区园区发展有限公司
四、项目简介(规划方向):项目总建筑面积约17.9万平方米,主要建设二层钢结构的生产车间26栋、研发楼6栋、活动中心1栋,配套建设停车场、污水处理设施、变配电室及绿化等公共设施。
五、建设条件及进展:项目已完成可研报告编制、立项及规划设计工作。
六、需求内容:招引注塑企业入驻园区。
七、联系人及电话:韩国庆13863397858
(20)

一、项目名称:日照网球中心项目
二、建设地点:日照市东港区山东东路与青岛路交叉口以东100米路南
三、项目业主:日照安泰体育产业发展有限公司
四、项目简介(规划方向):项目总建筑面积约4.8万平方米,建有41片网球场地,由1个中心赛场、10片室内硬地训练馆、2片红土馆、28片室外场地、展示中心五部分组成,中心场馆可容纳5000人。项目配套齐全,设有酒店、餐厅、体能、赛事功能房等,可承办高级别职业网球比赛和其他体育活动。
五、建设条件及进展:项目已于2019年建成投入使用,承办过多项国家级职业网球比赛等各类体育赛事及演唱会。
六、需求内容:一是商业出租,招引青少年培训、商贸、餐饮、办公等业态入驻场馆配套商业区;
二是招引赛事期间物资提供单位,入驻场地周边;
三是招募赛事冠名、赞助商;
四是招募全国各地网球组织合作网球旅游项目。
七、联系人及电话:孔祥龙18658876777
(21)

一、项目名称:日照游泳中心项目
二、建设地点:日照市东港区青岛路与山东路交会处268号
三、项目业主:日照体育发展集团有限公司
四、项目简介(规划方向):项目建筑面积3.1万平方米,建筑高度24.75米,观众座席数3500席,拥有1万平方米主广场、 6万平方米景观绿化、2.6万平方米停车场。主要包括比赛馆、训练馆、戏水馆和跳水馆4个馆区共7个泳池。场馆按照世界锦标赛比赛标准建设,是2008年北京奥运会游泳比赛场馆备选方案,也是日照市开展文体活动的重要平台。场馆通风系统采用全空气系统,水温常年保持在26—28度之间。
项目近期已完成场馆智慧化升级改造,增设防溺水、自助购票及入场等系统,打造安全、协作、统一、服务的“智慧游泳馆”。场馆目前开展业务包括游泳票卡、游泳培训、场地租赁、消防水域救援、幼儿园培训、国职培训、防溺水培训、体旅融合研学等。现有登记会员10万余人,有效活跃会员3万余人,累计培训游泳学员3.5万余人,年接待泳客约20万人次。先后荣获山东省体育产业示范单位、山东省首批5A级体育培训机构、体育行业国家职业资格培训基地等荣誉称号。
五、建设条件及进展:项目已竣工并投入使用。
六、需求内容:日照游泳中心餐吧、健身房、瑜伽室、VIP私教室等子项目,招引商户入驻以租赁或委托合作运营的方式入驻。
七、联系人及电话:王岩0633-3322688
(22)

一、项目名称:日照东方五彩城项目
二、建设地点:日照市东港区学苑路以南、青岛路以西
三、项目业主:日照活力产业发展投资有限公司
四、项目简介(规划方向):项目占地105亩,包括1栋4层奥特莱斯购物MALL,1栋30层高端酒店体,建筑面积57293平方米的地下车库。项目集福朋喜来登酒店、洲际智选假日酒店、亲子酒店于一体,通过新主题、新风格、新组合的商业模式,带来新体验、新感受,旨在打造集“吃玩乐住购”于一体的商业综合体。
项目达产后预计销售收入95500万元,利润9550万元,税收2865万元,解决就业2600人。
五、建设条件及进展:项目土建、装饰、安装施工全面开展,计划于2025年6月份完工,暑期全面开业。
六、需求内容:一是商业出租,招引服装服饰、零售、餐饮、休闲娱乐等业态入驻配套商业区;
二是本项目已经纳入日照市低空经济规划,寻求直升机等低空经济相关产业公司合作。
七、联系人及电话:刘世聪18606339958
(23)

一、项目名称:日照雁达城商业综合体项目
二、建设地点:日照市东港区海曲东路288号
三、项目业主:日照衡悦海曲商用设施经营管理有限公司
四、项目简介(规划方向):项目总建筑面积约10万平方米,主要定位旅游、洗浴、娱乐、餐饮、购物、运动、亲子、教育培训等八大业态。一、二楼为餐饮及购物区域,三、四楼为娱乐、教育及亲子区域,负一楼为2万平方米集吃喝玩乐为一体的大型洗浴中心,室外广场打造演艺广场和网红夜市。项目24小时营业,日可接待客流6000人次,可同时容纳3000余人住宿。
项目周边高端写字楼、酒店、居民区密集,紧邻国家4A级旅游风景区万平口,旅游旺季时,景区人流如织,项目周边客流充足,是外地游客来日照旅游的必经之地。
五、建设条件及进展:目前外立面装修已接近完工,商场预计于2025年6月份正式运营。
六、需求内容:现面向全国各类优质商户开放招商:特色餐饮(网红美食、地方特色菜、民族特色菜等);在地文化(手工艺品、画展、文创产品等);零售(服饰鞋帽、数码产品、化妆品等);主理人共创(特色服饰、主题餐饮、生活方式集合店等);娱乐(KTV、电影院、酒吧、游戏厅、台球厅、棋牌室等)。
七、联系人及电话:韩邦梅13563311866
(24)

一、项目名称:岚山区贝类加工产业园项目
二、建设地点:日照市岚山区沿海公路以东、西潘渔港北部、岚北港南部
三、项目业主:日照市岚山区海洋发展有限公司
四、项目简介(规划方向):项目占地约46.6亩,总建筑面积21118.82平方米,规划建设服务中心1座,含海洋牧场展厅、牡蛎展示区等;展销大厅1座;贝类加工厂房3座,分大、中、小三种规格,可满足不同生产需求,具备牡蛎冲洗、分选、除菌净化、加工、冷冻、包装及电商直播等功能。
项目以牡蛎加工为主,结合日照顺风阳光海洋牧场3A级景区优势,创新打造“产游”一体的新型海洋牧场模式。建设集贝类水产品加工、包装、存储、销售、产品展示、体验研学等功能于一体的贝类水产品加工示范产业园,形成贝类水产品加工产业链协同发展和孵化聚集的产业园区。
五、建设条件及进展:已完成1#、2#厂房主体结构、内外墙抹灰及保温、屋面工程施工;3#厂房主体结构施工;4#综合楼主体结构、二次结构施工;7#连廊主体结构及内架拆除施工。目前正在进行1#厂房外墙幕墙施工、2#厂房内墙涂料施工、3#厂房屋面二次结构施工、4#综合楼消防安装工程施工、7#连廊场地清理施工及室外配套雨污水管道施工。
六、需求内容:2#、3#牡蛎加工厂招引养殖企业入驻,实行统一管理。
七、联系人及电话:王弘喆18263350706
(25)

一、项目名称:日照综合保税区新一代产业创新园项目
二、建设地点:日照市综合保税区内保税横一路以北、保税纵三路以西
三、项目业主:日照综保区发展集团有限公司
四、项目简介(规划方向):项目总建筑面积19万平方米,新建12座标准化厂房。项目立足综保区,联动经开区、高新区,聚焦新一代信息技术、高端装备、粮油食品等支柱产业,着力塑造研发总部、创企聚落及创研片区功能,建设“研发+中试+生产+维修”的综合型产业基地,打造日照新质生产力高质量发展地标。
五、建设条件及进展:项目已建成3座标准化厂房,其余部分正在建设。其中2#、3#厂房共5层,建筑面积1.2万平方米,均可出租;5#厂房共4层,建筑面积2.3万平方米,其中2-4层可出租。
六、需求内容:招引保税维修、保税服务、电子信息、高端装备、生物医药等领域企业入驻。
七、联系人及电话:张晨旭18463355097
(26)

一、项目名称:日照经济技术开发区新基建创新创业产业园项目(一期)
二、建设地点:日照市兖州南路以东、徐州路以南
三、项目业主:日照瑞达建设集团有限公司
四、项目简介(规划方向):项目建筑面积9.16万平方米,规划建设一栋19层框架结构的综合服务楼、三栋7层框架结构的独立研发楼和地下车库。
园区以孵化培育中小型科技企业为目标,以人工智能、电子和信息技术科技型中小型企业为服务对象,为入孵企业提供研发、生产、经营场地,以及信息咨询、商务、管理、金融服务、生活配套等各项服务。项目运营后,主要营业收入为综合服务楼、独立研发楼租赁以及地下车库租赁运营收入,预计稳定运营年租赁收入4200万元,年均利润总额为3000万元。
五、建设条件及进展:项目已完成前期手续办理,园区已完成主体工程建设,正在完善配套消防设施等。
六、需求内容:(1)意向合作单位:科研机构、高新技术产业企业、人工智能制造企业、技术转化中心、人才培养基地等。
(2)合作方向:1.为初创企业提供办公空间、共享设施。2.搭建人才培养引进平台,吸引高层次人才。
(3)合作模式:对外租赁,招引链上链下企业入驻。
七、联系人及电话:马跃15306337137
(27)

一、项目名称:亚太数字口腔创新港项目
二、建设地点:日照市高新七路以南、高新六路以北、兖州路以西、富阳路以东
三、项目业主:日照高新建设发展有限公司
四、项目简介(规划方向):项目占地65亩,规划建设9栋厂房,建设口腔产业创新综合孵化基地,涵盖耗材及设备生产、临床诊疗、数字化中心、医院管理、创新技术应用、医疗数字金融、CDMO一站式研发平台、园区共享实验室、实训中心等产业项目及相关配套设施。项目将发挥沪鸽口腔、迈尔医疗等已有口腔产业基础,共同打造口腔数字化融合发展的新业态。
五、建设条件及进展:项目主体已封顶。
六、需求内容:招引数字口腔等产业相关企业入驻,可租赁或购置厂房。
七、联系人及电话:王觉骐 0633-2227827
(28)

一、项目名称:经营性房产租赁项目
二、建设地点:日照城投集团市区内用于市场化经营的资产
三、项目业主:日照城投资产运营有限公司
四、项目简介(规划方向):城投资产公司用于市场化经营的资产共有16.78万平方米,已使用面积13.38万平方米,总资产出租率79.76%。其中,(1)海曲人家商业街区共有徽派仿古建筑11套,总面积15333.67平方米,目前已出租10524.35平方米,剩余可出租面积4809平方米;(2)桂花园沿街商业共有沿街商铺38套,幼儿园1所,总面积12619.16平方米,目前已出租面积11357.13平方米,剩余可出租面积1082平方米;(3)大连花园沿街商业共有沿街商铺109套,总面积为17036.35平方米,目前已出租面积12658.11平方米,剩余可出租面积4378平方米;(4)盛世华府沿街商业共有沿街商铺166套,总面积28544.75平方米,目前已出租面积14899.47平方米,剩余可出租面积13645平方米;(5)滨海佳园、翠湖佳园沿街商业共有沿街商铺197套,总面积为43984.44平方米,目前已出租面积40944.84平方米,剩余可出租面积3040平方米。
五、建设条件及进展:所有经营性资产具备租赁条件,租赁即可使用。
六、需求内容:对目前空置的经营性资产进行租售。
七、联系人及电话:丁仕臻18763321737
(29)

一、项目名称:莒县丽正园景区项目
二、建设地点:日照市莒县南郊206国道与335省道交会处
三、项目业主:日照城投资产运营有限公司
四、项目简介(规划方向):项目占地约718.6亩,东园区占地318.6亩,西园区占地约180亩,南园区占地约200亩土地,建筑面积10万平方米,仿古建筑、四合院等建设,是北方最大私家园林。景区目前正常营业,主要收入来源为门票、研学、商家租赁费。
五、建设条件及进展:项目已建设完成,正常营业。
六、需求内容:一是招引运营团队,投资建设旅游新业态;二是招引研学教育培训、商贸、餐饮等多业态丰富园区商业布局。
七、联系人及电话:刘伟杰13606334008
(30)

一、项目名称:日照市平台经济产业园(天德海景城)
二、建设地点:日照市东港区海曲东路和绿舟路交会处西南角
三、项目业主:日照市天德房地产有限公司
四、项目简介(规划方向):项目于2017年建成,东临万平口海洋公园,北依城市规划展览馆、植物园,西靠君临天下大酒店,南绕世帆赛基地,地理位置得天独厚。楼宇由裙楼和两栋塔楼构成,两栋塔楼部分:A栋为写字楼,总建筑面积约8万平方米,高度178米,主体共52层,层高3米,标准层每层约1500平方米,租金1-1.8元/平方米/天,物业费6.8元/月,配套建设咖啡厅、会议室、便利店等设施,主要招引培育平台经济、服务外包、贸易物流等产业。B栋为56层五星级酒店和高端商务酒店综合体。
2019年经市委市政府批准,市区一体在天德海景城打造了山东省第一家以平台经济为主题的产业园——平台经济产业园,运用“政府主导、行业引导、市场化运营”的模式,引进上海中蕴集团成立园区运营公司,负责园区招商运营管理。产业园总面积1.05万平方米,园区集中建立一中心三基地,平台经济创新服务中心,产城融合发展基地,总部经济结算基地,客户服务外包基地,配套《东港区促进互联网服务外包业高质量发展办法》等政策支持,累计入驻企业80余家,带动就业人员1000余人。
五、建设条件及进展:已建成投用,入驻企业150余家,目前可利用面积约2万平方米。
六、需求内容:合作方式为租赁、购买,招引服务外包、人力资源服务、贸易物流类企业入驻。
七、联系人及电话:李雪15906334455


